Back to page

Help Rolleston Rugby raise funds for new clubrooms!

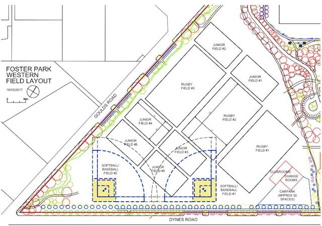
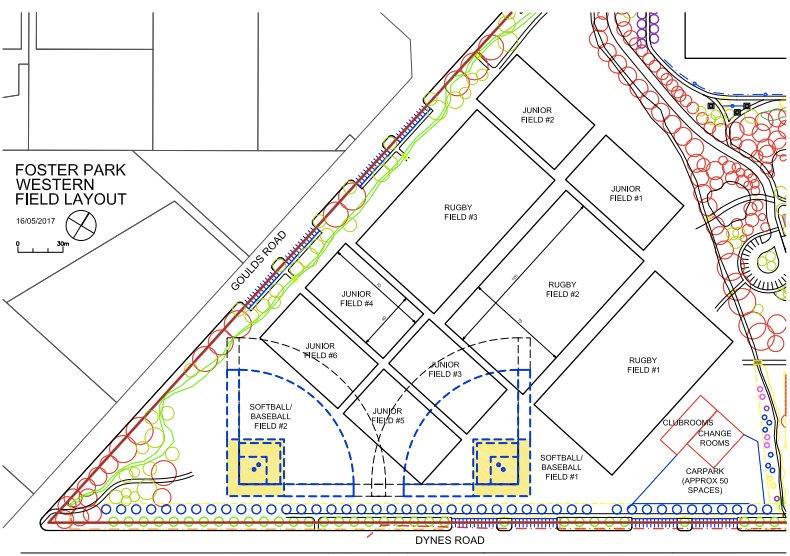
New Ground Layout For Rugby Grounds!

  22 November 2017
Main image

This is the new layout agreed by the Rolleston Rugby Club, the Selwyn District Council, and the Rolleston Softball Club. As you can see, there are now 6 Junior fields, which leaves the Senior fields free for Senior games and trainings.

  0 comments  |  Login to leave a comment