+2 images
Main image

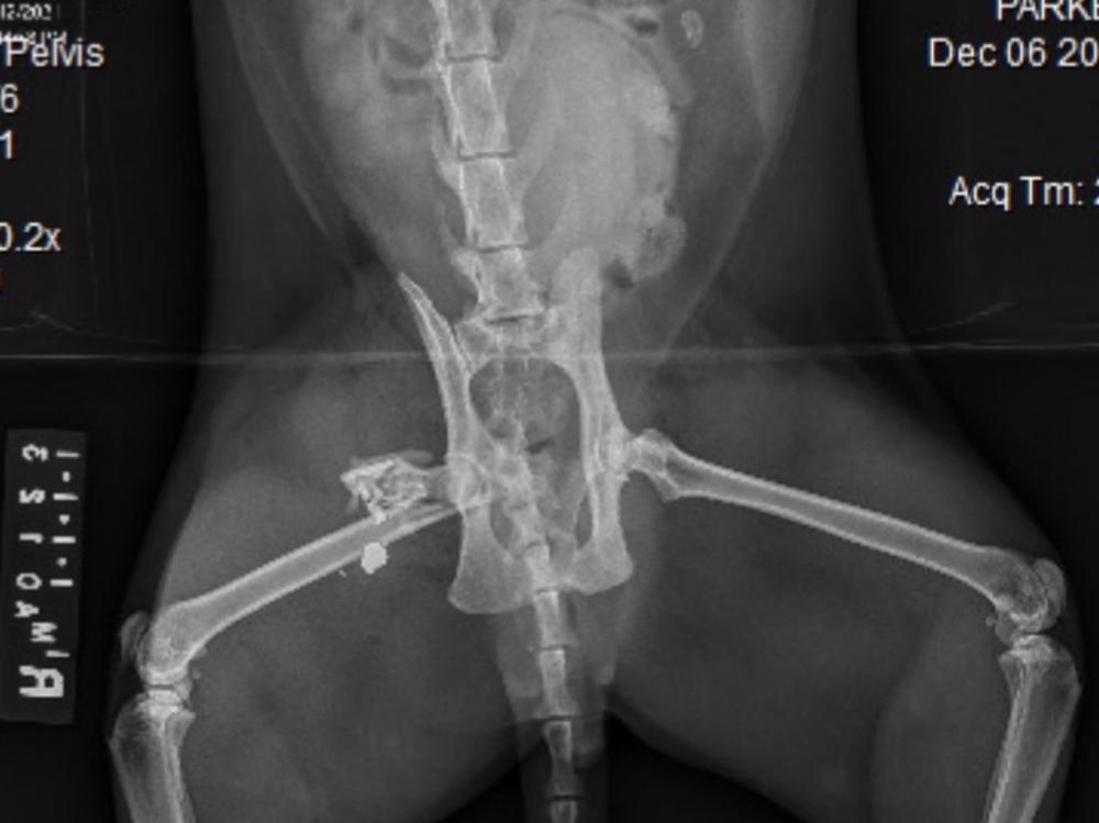
Our Cat Was Shot, Leg Amputated

$926 of $2,500 goal
Given by 34 generous donors in 4 weeks

Our Cat Was Shot so we need assistance to pay vet costs as my wife is due to give birth any day.

Manawatu / Whanganui

On the weekend our beautiful ginger boy Rupert was shot in the stomach which resulted in the bullet lodging in his leg shattering his femur beyond repair which meant he's had to go through surgery to amputate his leg. Vet bills are around $2000 currently with the potential to rise so we would be extremely grateful for some support, especially given the fact my wife is due to give birth any day now. SPCA and police are investigating as 3 other cats have been shot aswell, see SPCA NZ Facebook for verification

Use of funds

Vet bills and any required treatment after the fact

Read more
Givealittle’s Generosity Report for FY2025
Givealittle’s Generosity Report for FY2025 has been released, and once again it offers a powerful snapshot of how New Zealanders show up for one another. Learn More

Latest donations

Aaron
Aaron on 15 Dec 2021
All the best Rupert for your Recovery 🐾🐾
$25
'Lil Malt Cheese Ball
'Lil Malt Cheese Ball on 15 Dec 2021
Get well soon, my fellow ginger
$10
Tracey
Tracey on 15 Dec 2021
Sending you guys lots of love and especially your beautiful Cat.
$30
Anna
Anna on 15 Dec 2021
$50
Alicia
Alicia on 14 Dec 2021
$10

Who's involved?

Joseph Smith's avatar
Created by, and paying to a verified bank account of, Joseph Smith
Page Moderated
The page has been checked by our team to make sure it complies with our terms and conditions.

Gallery

Any concerns?

Report this page
This campaign started on 7 Dec 2021 and ended on 7 Jan 2022.